Partager:
En Floride, près de 17% des 8.000 pompes à essence ne disposaient plus de carburant, selon le site de comparaison de prix. Les résidents tentent de quitter la région face à l'arrivée de l'ouragan Milton qui doit toucher terre dans cet Etat durant la nuit de mercredi à jeudi.
Il y avait des embouteillages ce mardi et de longue files d'attente aux stations essence, alors que les autorités intiment aux habitants d'évacuer. "Toute la péninsule de Floride est sous une forme soit de surveillance soit d'alerte", a déclaré mardi Ron DeSantis, gouverneur de cet Etat du sud-est des Etats-Unis.
Selon le New York Times près de 5 millions de personnes se situent dans des régions où sont émis ces avertissements. Il s'agit d'une des plus grandes opérations d'évacuation dans l'histoire de l'Etat.
Des générateurs, de la nourriture, de l'eau et des bâches sont aussi distribués à travers la Floride.
A Tampa, des dizaines de voitures ont aussi fait la queue pour collecter des sacs de sable afin de tenter de protéger leur maison des inondations attendues.

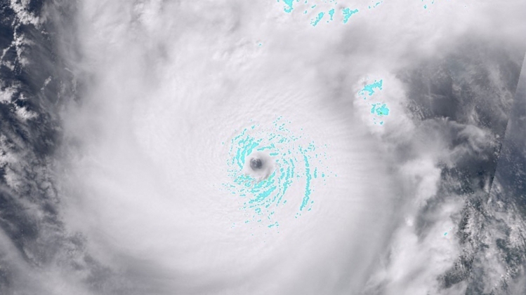
Milton est "un ouragan majeur et dangereux" repassé en catégorie 5 sur l'échelle Saffir-Simpson, la plus élevée - après avoir été rétrogradé en catégorie 4, a averti mardi le Centre national des ouragans américain (NHC).
Selon l'expert météorologique Michael Lowry, "si les pires prévisions se concrétisent pour la région de la baie de Tampa, les submersions côtières provoquées par Milton pourraient être le double de celles observées il y a deux semaines durant l'ouragan Hélène".
Evacuation demandée par Biden
"Milton s'est renforcé lundi à un rythme effréné", l'un des "plus rapides jamais observés dans le bassin atlantique", a-t-il ajouté.
L'ouragan Milton pourrait être "la pire tempête" à frapper cette péninsule "en un siècle" selon le président Joe Biden. Avec des vents pouvant aller jusqu'à 270 km/h, des "fluctuations d'intensité" sont probables avant que l'ouragan ne touche la côte ouest de la Floride, a-t-il précisé dans son dernier bulletin.
L'ouragan, se déplace de sud-ouest en nord-est dans le golfe du Mexique. Son passage mardi au large de la péninsule du Yucatan, au Mexique, n'a pas fait de victimes, provoquant seulement quelques dégâts matériels.
"Toute la péninsule de Floride est sous une forme soit de surveillance soit d'alerte", a déclaré mardi Ron DeSantis, gouverneur de cet Etat du sud-est des Etats-Unis.

Milton pourrait être "la pire tempête en Floride en un siècle", a déclaré mardi Joe Biden, en marge d'une réunion à la Maison Blanche sur les préparatifs. "Vous devez évacuer maintenant, c'est une question de vie ou de mort", a lancé le président américain à l'intention des habitants du troisième Etat le plus peuplé du pays.
Sa vice-présidente Kamala Harris lui a emboîté le pas sur la chaîne ABC. La candidate démocrate à la présidentielle de novembre a demandé aux habitants de "prendre au sérieux les responsables locaux".
Signe de la gravité de la situation, la Maison Blanche a annoncé que Joe Biden avait renoncé à se rendre comme prévu en fin de semaine en Allemagne puis en Angola.















