Partager:
Les autorités chinoises ont annoncé la suspension du travail, de l’école et des transports à Shenzhen et dans une dizaine de grandes villes du sud rassemblant des dizaines de millions de personnes à l’approche du typhon Ragasa. Les autorités de Hong Kong se préparent également à ce qu’ils considèrent comme « une menace grave ».
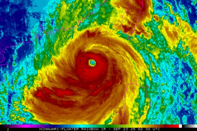
Le typhon devrait « provoquer de graves impacts liés au vent, à la pluie, aux vagues et aux inondations à partir de la nuit du 23 septembre », écrivent les autorités de la métropole de Shenzhen dans un communiqué publié mardi sur les réseaux sociaux.



« À l’exception du personnel de secours et de celui assurant les services essentiels, veuillez ne pas sortir sauf nécessité », ajoute le communiqué.
Les autorités locales de ces préfectures situées dans la province de Canton ont également décrété la suspension de la production industrielle et du commerce.
Certaines de ces mesures étaient déjà entrées en vigueur mardi matin, d’autres prendront effet progressivement à mesure que Ragasa s’approche des côtes chinoises.
Selon le service météorologique de Hong Kong, Ragasa générait des vents d’une vitesse maximale soutenue de 230 km/h en son centre alors qu’il traversait la mer de Chine méridionale tôt mardi matin.
Quelques heures plus tôt, le typhon a renversé des arbres et arraché les toits de plusieurs bâtiments en traversant le nord des Philippines, où des milliers de personnes avaient trouvé refuge dans des écoles et des centres d’évacuation. Un homme est mort dans un glissement de terrain.
Selon les scientifiques, le changement climatique provoque des phénomènes météorologiques extrêmes plus fréquents et plus intenses partout dans le monde.



















