Partager:
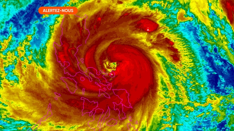
Le typhon Fung-wong s’est abattu dimanche soir sur la côte est des Philippines, couvrant presque l’ensemble du territoire, quelques jours seulement après le typhon Kalmaegi qui avait provoqué la mort de 232 personnes.
Au moment où Fung-wong a quitté l’archipel et se dirige vers Taïwan, les Philippines pansent leurs plaies. En vacances dans ces îles, Coralie et Sam ont vécu la tempête de l’intérieur.
Dans cette épreuve, le couple a eu la chance de se trouver plus à l’écart du centre du pays, à El Nido.
« On ne vit pas le typhon comme on le voit sur les écrans », explique Coralie. Entendez par là qu’ils ne se trouvent pas au milieu des terribles inondations, mais leur zone géographique a tout de même été sévèrement touchée, comme en témoignent ces photos prises par Coralie.



Pluie intense, vagues immenses
« La pluie était très très forte en soirée et durant la nuit, explique Coralie. Le vent et les vagues étaient très agités. On n’est pas juste à côté de la plage, donc c’est déjà moins stressant. »
« Le matin, on a vu tous les dégâts », poursuit la jeune femme. « Les arbres tombés, les feuilles, les grosses flaques causées par la pluie dans les creux de la route, les câbles électriques presque sur le trottoir… »


Des habitudes commencent à s’installer chez les locaux
Si les touristes ont pu être secoués par ces événements, la population locale fait plutôt preuve de résilience. « Les locaux, eux, ont l’habitude, donc ils ne voient pas les choses de la même manière », décrit encore Coralie. « Ils reçoivent souvent des avertissements pour des typhons et, parfois, les habitants de la côte doivent être évacués au cas où, mais ils sont moins angoissés et plus habitués. »
Les messages d’alerte ont été envoyés avant que Fung-wong ne frappe. Permettant aux locaux et aux touristes de prendre des mesures nécessaires. « On a reçu un message d’avertissement général pour prévenir des perturbations (vagues de 2 à 3 mètres pluies fortes, évacuation…) et je pense que s’il y a un réel danger, il faut se rendre à un endroit dédié à la protection qui est plus en hauteur et plus résistant [que la plupart des habitations] ».
Vols en avion et trajets en bateau annulés
Autre préoccupation pour les touristes : la suite de leur voyage. Avec les intempéries, les vols en avion et les trajets en bateau ont tous été annulés, imposant parfois de trouver des plans B pour se déplacer.
Si Fung-wong a été moins meurtrier que Kalmaegi, le super-typhon a tout de même fait 25 victimes et provoqué d’immenses dégâts dans certaines zones du pays, notamment dans le Nord, dans la région de Cagayan.




















