Partager:
Le « super-typhon » Fung-wong a fait un premier mort dimanche aux Philippines, une femme retrouvée sous des décombres dans le centre du pays asiatique où près d’1,2 million de personnes ont été évacuées, moins d’une semaine après le passage dévastateur du typhon Kalmaegi.
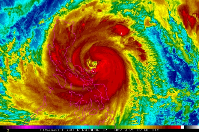
Fung-wong, dont la taille couvre virtuellement l’intégralité du pays, s’approche de l’est de l’archipel avec des vents de 185 km/h, voire de 230 km/h en pointe.

Le « super-typhon » doit toucher terre dans la province côtière d’Aurora, entre 20H00 et 23H00 locales (12H00 GMT et 15H00 GMT), a indiqué Charmagne Varilla, du service météorologique national.
Au total, près de 1,2 million de personnes ont été évacuées, a annoncé la Défense civile, dans un pays toujours sonné par le passage de Kalmaegi -- le typhon le plus meurtrier de l’année -- qui a fait au moins 224 morts, d’après un dernier bilan du gouvernement.
Un secouriste dans la ville de Catbalogan, capitale de la province de Samar (ouest), Juniel Tagarino, a annoncé que le corps d’une première victime avait été retrouvé sous des débris et des arbres déracinés.
La femme de 64 ans fuyait avec des membres de sa famille samedi soir lorsqu’elle est retournée « à l’intérieur de sa maison, où elle avait probablement oublié quelque chose », pour être retrouvée plusieurs heures plus tard, a-t-il expliqué.
A Aurora, Aries Ora, un fonctionnaire de 34 ans, a déclaré à l’AFP en début de soirée que la pluie était encore légère, alors qu’il protégeait sa maison dans la ville de Dipaculao avec des plaques d’acier et des planches de bois.
« Ce qui nous effraie vraiment, c’est que l’arrivée est prévue pendant la nuit, » a-t-il dit. « Contrairement aux typhons précédents, nous ne pourrons pas clairement voir le mouvement du vent et ce qui se passe autour de nous ».
Quand les vagues frappent le brise-lame, on dirait que le sol tremble
Les écoles et bâtiments publics resteront fermés lundi dans une large partie du pays, notamment dans la capitale Manille, et près de 300 vols ont déjà été annulés, selon les autorités.
« Les vagues ont commencé à gronder vers 07H00 du matin (23H00 GMT samedi). Quand elles frappent le brise-lame, on dirait que le sol tremble », a témoigné Edson Casarino, un habitant de l’île de Catanduanes (nord-est).
« De fortes pluies sont en train de s’abattre, et le vent souffle », a dit cet homme de 33 ans joint au téléphone par l’AFP.
La petite île risque d’être frappée de plein fouet par Fung-wong, a prévenu le service météorologique. « Ils ressentent l’impact du typhon (…) car l’oeil du cyclone y est le plus proche », a expliqué Rafaelito Alejandro, de la Défense civile, lors d’un point de presse.
Samedi, des habitants ont tenté de river leurs habitations au sol avec des cordes dans l’espoir qu’elles résistent aux rafales, selon des images relayées sur les réseaux sociaux.
« Les vagues près de ma maison sont énormes »
Sur une vidéo authentifiée par l’AFP, une église de la ville de Birac apparaît encerclée par les eaux de crues, qui montent jusqu’à la mi-hauteur de son entrée. À Sorsogon, dans le sud de l’île principale de Luçon, certains ont trouvé refuge dans une église dès samedi.
« Je suis là car les vagues près de ma maison sont énormes maintenant. Je vis près de la côte et les vents là-bas sont très forts à présent », a indiqué l’une d’eux, Maxine Dugan.
Cumuls de 200 millimètres
Fung-wong devrait déverser « des précipitations de 200 millimètres ou plus, qui peuvent provoquer des inondations étendues, pas seulement dans les zones de basse altitude », a mis en garde en conférence de presse Benison Estareja, un météorologue du gouvernement. « Il est possible que nos plus importants bassins versants débordent », a-t-il alerté.
Ce super-typhon balaiera l’archipel quelques jours seulement après Kalmaegi, responsable de plus de 224 morts dans le pays d’après les derniers chiffres du gouvernement, le typhon le plus meurtrier de l’année, selon la base de données spécialisée EM-DAT.
La province de Cebu (centre) recense la majorité des victimes, et les opérations de secours y ont été suspendues samedi en raison de l’arrivée de Fung-wong. « Nous ne pouvons pas mettre en danger nos secouristes. Nous ne voulons pas qu’ils soient les prochaines victimes », a déclaré Myrra Daven, une responsable des secours de la région.
Tous les ans, une vingtaine de tempêtes ou de typhons atteignent les Philippines ou s’en approchent, les régions les plus pauvres étant généralement les plus gravement affectées.
Une situation catastrophique aggravée par le réchauffement climatique
Selon les scientifiques, le réchauffement climatique généré par l’activité humaine rend les phénomènes météorologiques extrêmes plus fréquents, plus meurtriers et plus destructeurs.
Des océans plus chauds permettent aux typhons de se renforcer plus vite, quand des températures générales plus élevées entraînent une atmosphère plus humide et donc des pluies plus importantes.
Kalmaegi a également fait cinq morts au Vietnam, qu’il a frappé en s’affaiblissant après avoir dévasté les Philippines.



















